网站首页  词典首页

请输入您要查询的字词:

 

字词 导线测量的外业工作
类别 中英文字词句释义及详细解析
释义

导线测量的外业工作


导线测量的外业工作包括:踏勘选点,建立标志;测边和测角。

1.踏勘选点,建立标志

导线点的选择,直接影响到导线测量的精度和速度以及导线点的使用和保存。因此,在踏勘选点之前,首先要调查和收集测区已有的地形图及高等级控制点的成果资料,依据测图和施工的需要,在地形图上拟定导线的布设方案,然后到野外现场踏勘、核对、修改、落实点位和建立标志。如果测区没有以前的地形资料,则需要现场实地踏勘,根据实际情况,直接拟定导线的路线和形式,选定导线点的点位及建立标志。选点时,应注意以下几点:

1)相邻点间要通视良好,地势较平坦,便于量边和测角。

2)点位应选在土质坚实,视野开阔处,以便于保存点的标志和安置仪器,同时也便于碎部测量和施工放样。

3)导线边长应大致相等,相邻边长度之比不要超过三倍,其平均边长根据测量的要求应符合表5-5的规定。

4)所选导线点必须满足观测视线超越(或旁离)障碍物1.3m以上。

5)路线平面控制点的位置应沿路线布设,距路中心的位置宜大于50m且小于300m,同时应便于测角、测距、地形测量和定线放样。

6)在桥梁和隧道处,应考虑桥隧布设控制网的要求;在大型构造物的两侧应分别布设一对平面控制点。

7)导线点要有足够的密度,便于控制整个测区。

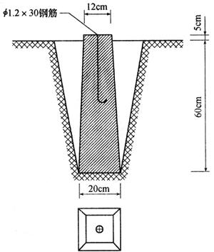
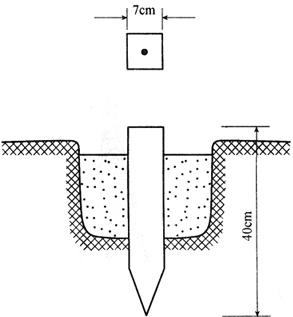
确定导线点的位置后,应根据需要做好标志。在沥青或碎石路面上,也可用顶上刻有“十”字的大铁钉代替;若导线点为短期保存,只要在地面上打下一个大木桩,在桩顶钉上一个小钉作为导线点的临时标志,如图5-7所示;若导线点需要长期保存,就要埋设桩顶刻凿“十”字的石桩或在桩顶上端预埋刻有“十”字的钢筋混凝土桩,如图5-8所示。

图5-7 图根导线点的埋设

图5-8 等级导线点的埋设

为了避免混乱,导线点要分等级统一编号,以便于测量资料的统一管理。为了在使用时利于寻找,可以在点位附近的房角、电线杆等明显地物上用红漆标明指示导线点与该明显地物的方向和距离;并绘制选点略图,即“点之记”,在“点之记”上应注记地名、道路名、导线点编号以及导线点至最近的明显地物点的距离,最少两个以上,以便于今后寻找和使用。

2.边、角观测和定向

(1)测边

导线边长可用电磁波测距仪或全站仪单向施测完成,也可用经检定过的钢尺往返丈量完成,但均要符合规定。量距时,若平均尺温与检定时的温度相差大于10℃,则应进行温度改正;若尺面倾斜大于1.5%,则应进行倾斜改正。

(2)测角

导线的转折角有左、右之分,以导线为界,按编号顺序方向前进,在前进方向左侧的角称为左角,在前进方向右侧的角称为右角。对于附合导线,可测其左角,也可测其右角(在公路测量中,一般是观测右角),但全线要统一。对于闭合导线,可测其内角,也可测其外角,若测其内角并按逆时针方向编号,其内角均为左角,反之均为右角。角度观测采用测回法。各等级导线的测角要求,均应符合规定。对于图根级导线.一般用J6级光学经纬仪测一个测回,盘左、盘右测得角值的较差不大于40″时,取平均值作为最后结果。

当测角精度要求较高、导线边长较短时,为了减少对中误差和目标偏心误差,可采用三联脚架法进行作业。

如图5-9所示,经纬仪置于导线点2时,在导线点1、3上安置与观测仪器同型号的三脚架和基座,基座上插入照准用的觇标。导线点2测角完毕后,将经纬仪照准部和3点上的觇标自基座上取出并互相对调,将1点的三脚架连同觇标搬迁到4点,然后在3点上又进行角度观测……这样依次向前,直至测完全部转折角为止。

图5-9 三联脚架法测角

(3)定向

为了控制导线的方向,在导线起、止的已知控制点上,必须测定连接角,该项工作称为导线定向,或称导线连接测量。定向的目的是为了确定每条导线边的方位角。

导线的定向有两种情况,一种是布设独立导线,只要用罗盘仪测定起始边的方位角,整个导线的每条边的方位角就可确定;另一种情况是布设成与高一级控制点相连接的导线,先要测出连接角,再根据高一级控制点的方位角,推算出各边的方位角。连接角要精确测定。

随便看

 

文网收录3541549条中英文词条,其功能与新华字典、现代汉语词典、牛津高阶英汉词典等各类中英文词典类似,基本涵盖了全部常用中英文字词句的读音、释义及用法,是语言学习和写作的有利工具。

 

Copyright © 2004-2024 Ctoth.com All Rights Reserved
京ICP备2021023879号 更新时间:2025/10/17 10:00:40