网站首页  词典首页

请输入您要查询的字词:

 

字词 软骨和骨
类别 中英文字词句释义及详细解析
释义

软骨和骨


软骨和骨共同构成人体支架,它们在人的一生中不断更新和改建,从而适应生长发育和支持机体功能的需要,对维持人体外形有重要意义。

(一)软骨

软骨(cartilage)由软骨组织及其周围的软骨膜构成。软骨组织由软骨细胞(chondrocyte)、软骨基质(cartilage matrix)和埋于基质中的纤维组成。软骨基质呈凝胶状态,使软骨具有一定的硬度和弹性,能承受压力。软骨组织内不含血管,软骨细胞营养依赖软骨基质的可渗透性从软骨膜血管获得,除关节软骨外,软骨周围覆有一薄层致密结缔组织组成的软骨膜(perichondrium)。软骨膜外层纤维成分多,内层细胞成分多,呈梭形,有分化为软骨细胞的能力,称软骨母细胞(chondroblasts)。根据软骨基质内所含纤维成分不同可分为:透明软骨、弹性软骨和纤维软骨。

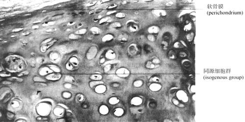
1.透明软骨(hyaline cartilage) 主要分布于肋骨前端,喉头、气管、支气管壁和骨关节表面等。新鲜时,呈带浅蓝乳白状。胚胎时期的透明软骨有临时骨架作用,以后逐渐被骨代替。生长发育期的长骨因骨干和骨骺间透明软骨构成的骨骺板发育而使骨增长。软骨细胞埋于与细胞形状相同的基质小腔内,称软骨陷窝(cartilage lacuna),陷窝周围基质嗜碱性较强,含较多硫酸软骨素(chondroitin sulfate),称软骨囊。靠近软骨膜的软骨细胞一般呈椭圆形,越靠近软骨中部的细胞越接近圆形,在组织切片中因细胞收缩而呈不规则状,软骨深部软骨细胞多为2~8个成群分布,是由一个细胞分裂增殖形成,称同源细胞群(isogenous group)。软骨基质中的胶原原纤维和无定形基质均由软骨细胞产生。软骨基质的主要化学成分是蛋白多糖,其中多糖为酸性糖胺多糖,主要有硫酸软骨素和硫酸角质素(keratan sulfate)等。基质含大量水分,以保证营养物质的渗透,以提供营养给软骨细胞并带走代谢产物,同时使软骨具有一定弹性。透明软骨中的纤维是Ⅱ型胶原蛋白组成的胶原原纤维,光镜下不易分辨(图2-32)。

图2-32 透明软骨(400×)

2.弹性软骨(elastic cartilage) 主要分布于耳廓、外耳道壁、咽鼓管(eustachian)和会厌等。新鲜时,呈不透明黄色,其结构成分与透明软骨相似,主要不同在于弹性软骨中含大量弹性纤维(图2-33)。

图2-33 弹性软骨模式图

3.纤维软骨(fibrocartilage) 主要分布于椎间盘的纤维环、耻骨联合以及某些肌腱和韧带附着于骨的部位等处。主要特点是含大量平行或交叉排列的胶原纤维束,软骨细胞排列在纤维之间(图2-34)。

图2-34 纤维软骨模式图

(二)骨

骨(bone)由骨组织(osseous tissue)和骨膜(periosteum)构成,内有骨髓腔,含骨髓。由于骨组织含有大量骨盐,因此是人体内一种最坚硬的结缔组织。骨组织由细胞和钙化的细胞外基质(习惯称骨基质,bone matrix,简称骨质)组成。细胞分为:骨原细胞(osteoprogenitor cells)、成骨细胞(osteoprogenitor)、骨细胞(osteocyte)和破骨细胞(osteoclast),其中骨细胞位于骨质内,含量最多,其余细胞均位于骨质边缘。

1.骨细胞(osteocyte) 骨骼是一种能够生长发育、造型、重新塑造和修复的活组织,这些都是通过骨的各种细胞的活动来完成的(图2-35)。

图2-35 胎儿指骨(400×)

(1)骨原细胞(osteoprogenitor cells):呈梭形,胞质弱嗜碱性,核椭圆形,淡染,位于骨外膜和骨内膜贴近骨处。是骨组织的干细胞。可分化为成骨细胞。

(2)成骨细胞(osteoprogenitor):有多个突起,胞质嗜碱性,核圆色淡。位于骨组织表面,合成骨基质的有机成分胶原纤维及糖蛋白,这些尚未钙化的基质,称类骨质(osteoid),当钙化后成为骨质。被自身分泌的基质所包围的成骨细胞改称为骨细胞。

(3)骨细胞(osteocyte):是扁平多突的细胞,埋于钙化的骨基质中,其胞体所占的空间称骨陷窝(bone lecuna),突起所在的空间称骨小管(bone canaliculus),内含组织液,以营养骨细胞和输送代谢产物。相邻骨细胞突起间有缝隙连接。

(4)破骨细胞(osteoclast):是多核大细胞,胞质嗜酸性,内含大量的线粒体、溶酶体、吞饮泡。贴近骨基质的一侧有皱褶缘(ruffled border),参与骨的改造及血钙调节。

2.骨基质(bone matrix) 包括有机质和无机质,其比例随年龄而变化,在儿童骨中约为1∶l,成年骨中约1∶2,且随年龄增加无机质更多,使骨硬度递增,脆性较大,抗冲击力下降,是老年人易发生骨折的原因。

(1)无机质又称骨盐(bone salt),主要为磷酸钙,以羟基磷灰石结晶(hydroxyapatite crystals)形式存在,呈细针状,沿胶原原纤维长轴平行排列并与之结合。

(2)有机质主要为骨胶纤维和无定形基质。骨胶纤维占有机质90%,由Ⅰ型胶原蛋白构成的骨胶原原纤维组成,无定形基质(蛋白多糖)含量较少,蛋白质主要有骨钙蛋白(osteocalcin)和骨黏连蛋白(osteonectin),前者与钙化有关;后者将骨无机质与骨胶原蛋白结合在一起。骨基质的结构呈板层状,称为骨板。胶原纤维排列规律,有一定方向,同一层骨板内纤维相互平行,相邻两层骨板的纤维相互垂直。

3.长骨的结构长骨由骨膜、关节软骨、密质骨、松质骨及血管、神经等构成,以密质骨为主,排列于长骨干外围呈致密层状,扁骨、骨骺(epiphysis)表层也是由密质骨构成。呈海绵状的松质骨则位于骨深部,由许多呈针尖或不规则状的骨小梁(trabeculae)相互连接成网,网眼内充以骨髓、神经、血管等,构成骨髓腔(marrow)。松质骨组成长骨骨骺大部分和骨干内表面少部分。

(1)骨膜(periosteum):是一层不规则致密结缔组织,具有营养组织和成骨作用。分为骨外膜和骨内膜,骨外膜分内外两层,内层为疏松结缔组织,含骨母(原)细胞(osteoblasts),可转化为成骨细胞,分泌类骨质,使长骨直径加粗,对骨的生长和修复起重要作用;外层较致密,有粗大的胶原纤维束,可穿入外环骨板形成穿通纤维(sharpey fiber,夏贝纤维),起固定外膜和韧带作用。骨内膜衬于骨髓腔、中央管、穿通管腔面,由疏松结缔组织组成。

(2)密质骨(compact bone):密质骨内的骨板排列很有规律,可分为环骨板、骨单位和间骨板(图2-36)。①环骨板(circumferential lamella)分布于长骨干的内外表面,称内环骨板和外环骨板。外环骨板较厚,由数层或数十层骨板环绕骨干平行排列;内环骨板较薄,且排列不规则,骨外膜的小血管可横穿环骨板,称穿通管(perforating canal),可与骨单位中央管相连通。②骨单位(osteon)又称哈佛系统(Haversian system),位于内外环骨板之间,构成长骨干密质骨的主要部分,呈圆筒状,由4~20层同心圆排列的骨板围成,各层骨板之间有骨细胞,各骨细胞突起经骨小管穿越骨板相互连接并与骨单位中轴的中央管(central canal)又称哈佛管(Haversian canal)相通,中央管内含血管、神经、少量结缔组织。各骨单位表面有一层骨盐多而胶原纤维少的骨基质,称黏合线(cement line)。骨单位周边的骨小管都在黏合线以内返折,不与相邻骨单位表面骨小管相通。③间骨板(interstitial lamellae)是位于骨单位之间的一些被破坏后的骨单位及环骨板残余部分,无中央管,故骨细胞已退化,仅见骨陷窝和骨小管(图2-37)。

图2-36 长骨骨干模式图

图2-37 骨磨片(400×)

骨骼的发育在胚胎期和出生后均可通过两种方式来完成,即膜内成骨和软骨内成骨。膜内成骨是由间充质细胞分化成为胚性结缔组织膜,然后在膜内成骨,主要见于人体的顶骨、额骨和锁骨等。软骨内成骨主要见于长骨两端,在骺板软骨和干骺端骨交界处,通过软骨细胞增生、肥大,软骨基质钙化和软骨细胞死亡,血管侵入软骨等一系列过程,软骨最后被骨取代。这种成骨过程,在病理情况下,如骨折和骨肿瘤也可见到。

骨的生长过程受很多因素影响,包括遗传因素、激素的作用、营养物质和维生素供应等。如生长激素、甲状腺素可促进骺板软骨生长,在成年前这两种激素分泌过少,可致骺板软骨生长缓慢,肢体短小而成侏儒(dwarf);若生长激素分泌过多,则骺板生长加速,可导致巨人症(gigantism)。而雌激素与成骨细胞膜上的雌激素受体结合,使其成骨活跃,产生足够的钙结合蛋白,促进类骨质的钙化。雌激素不足将出现骨盐分解吸收过多,骨基质形成减少。绝经期妇女的骨质疏松症就是由于雌激素不足所致。此外,维生素A、C、D均与骨生长过程有密切关系,其缺乏都不同程度地影响骨的生长,或容易引起骨折,且骨折愈合极为缓慢。

随便看

 

文网收录3541549条中英文词条,其功能与新华字典、现代汉语词典、牛津高阶英汉词典等各类中英文词典类似,基本涵盖了全部常用中英文字词句的读音、释义及用法,是语言学习和写作的有利工具。

 

Copyright © 2004-2024 Ctoth.com All Rights Reserved
京ICP备2021023879号 更新时间:2025/10/16 21:52:02